快訊/山陀兒大迴轉「明掃全台」4縣市風雨最劇

2024-10-02     呂純弘     反饋
1/5
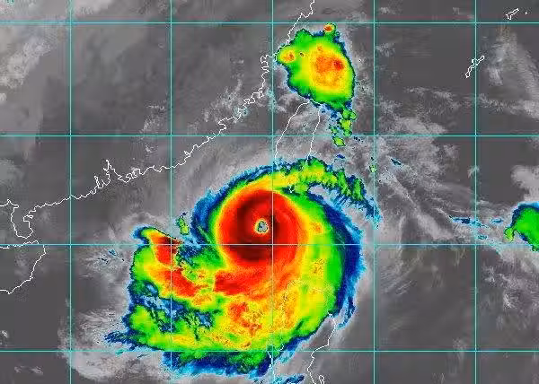
▲山陀兒今晨轉強烈颱風。

氣象專家吳德榮提醒,強烈颱風山陀兒關鍵迴轉,對各地威脅都很大,尤其是屏東、台東、花蓮及宜蘭的「致災性風雨」,山區預測最大總雨量甚至達到1300毫米。

▼最新颱風動態。
1/5
下一頁
劉奇奇 • 16K次觀看
管輝若 • 2K次觀看
李雅惠 • 980次觀看
管輝若 • 18K次觀看
管輝若 • 10K次觀看
喬峰傳 • 1K次觀看
呂純弘 • 7K次觀看
老臘肉 • 24K次觀看
老臘肉 • 2K次觀看
老臘肉 • 3K次觀看
管輝若 • 18K次觀看
管輝若 • 680次觀看
老臘肉 • 5K次觀看
舒黛葉 • 2K次觀看
管輝若 • 910次觀看
老臘肉 • 13K次觀看
劉奇奇 • 640次觀看
劉奇奇 • 4K次觀看
管輝若 • 2K次觀看
老臘肉 • 2K次觀看
劉奇奇 • 1K次觀看
呂純弘 • 13K次觀看
奚芝厚 • 900次觀看
管輝若 • 11K次觀看