快訊/(10/31、11/1)連放2天颱風假?最新暴風圈侵襲率出爐「19縣市全達標」

2024-10-31     呂純弘     反饋
1/5
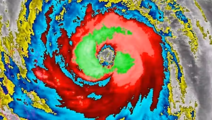
強台康芮逐步進逼,全台準備迎接近20年範圍最大侵台颱風,明、後兩天(10/31、11/1)颱風假究竟是否有機會?全民高度關注。依照中央氣象署最新發布的暴風圈侵襲率,全台有13縣市達100%,19縣市飆破9成。
1/5
下一頁
管輝若 • 37K次觀看
管輝若 • 23K次觀看
呂純弘 • 10K次觀看
管輝若 • 7K次觀看
呂純弘 • 11K次觀看
管輝若 • 1K次觀看
舒黛葉 • 3K次觀看
劉奇奇 • 4K次觀看
呂純弘 • 8K次觀看
管輝若 • 4K次觀看
舒黛葉 • 4K次觀看
舒黛葉 • 14K次觀看
奚芝厚 • 18K次觀看
舒黛葉 • 1K次觀看
花伊風 • 2K次觀看
舒黛葉 • 2K次觀看
管輝若 • 3K次觀看
管輝若 • 4K次觀看
喬峰傳 • 9K次觀看
喬峰傳 • 3K次觀看
喬峰傳 • 6K次觀看
花伊風 • 2K次觀看
管輝若 • 18K次觀看
舒黛葉 • 16K次觀看