快訊/「新北等5縣市」今達停班課標準!最新風雨預測出爐~

2025-09-23     舒黛葉     反饋
1/3
快訊/「新北等5縣市」今達停班課標準!最新風雨預測出爐



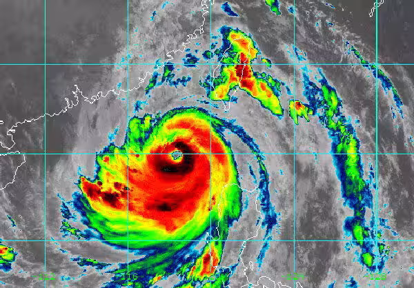
根據《ETtoday新聞雲》報導,中央氣象署今晨發布最新颱風動態,強烈颱風樺加沙逐漸遠離台灣,預計今日上午8時30分解除陸上警報。

不過目前仍有多個地區受到強風豪雨影響,部分縣市宣布停班停課。

1/3
下一頁
劉奇奇 • 15K次觀看
管輝若 • 2K次觀看
李雅惠 • 970次觀看
管輝若 • 18K次觀看
管輝若 • 10K次觀看
喬峰傳 • 1K次觀看
呂純弘 • 7K次觀看
老臘肉 • 24K次觀看
老臘肉 • 2K次觀看
老臘肉 • 3K次觀看
管輝若 • 18K次觀看
管輝若 • 680次觀看
老臘肉 • 5K次觀看
舒黛葉 • 2K次觀看
管輝若 • 910次觀看
老臘肉 • 13K次觀看
劉奇奇 • 640次觀看
劉奇奇 • 4K次觀看
管輝若 • 2K次觀看
老臘肉 • 2K次觀看
劉奇奇 • 1K次觀看
呂純弘 • 13K次觀看
奚芝厚 • 900次觀看
管輝若 • 11K次觀看