世語圖說
  • 2025年12月06日
  • 聯繫我們
  • 運動
  • 生肖
  • 奇趣
  • 娛樂
  • 情感
  • 新聞
  • 新聞
  • 命理
  • 美食
  • 家庭
  • 百科
  • 健康
  • 美妝
  • 旅遊
  • 健身
  • 雞湯
  • 軍事
  • 漫畫
  • 搞笑
  • 政治
快訊/台灣10縣市「達停班課標準」最新風雨預測出爐 !!
喬峰傳 • 680次觀看
不斷更新/9/24停班課一次看,14縣市超大豪雨特報
花伊風 • 10次觀看
台灣人騙台灣人!知名男星「拐49台人當豬仔」遭逮,法官震怒「重判18年」: 刑度還會增加
劉奇奇 • 90次觀看
花蓮光復大淹水! 商品全被衝出來,住戶爬屋頂避難,老人神情恍惚、孩子嚇哭
劉奇奇 • 20次觀看
不只於朦朧!「小Angelababy」8年前全.裸墜樓 恐怖巧合曝
劉奇奇 • 190次觀看
花蓮馬太鞍溪堰塞湖溢流!光復鄉市區全淹沒 水深至少一層樓...恐怖畫面曝光
奚芝厚 • 30次觀看
華視大咖告別式「張小燕、胡瓜全到了」! 在風雨中送別老友「不舍發聲!」
舒黛葉 • 7K次觀看
砍妻頭顱 分解屍體 藥劑師丈夫終極上訴失敗 維持死刑
劉奇奇 • 260次觀看
樺加沙颱風停班停課》高雄台東5地「9/24停班停課」,全台各縣市颱風假不斷更新
呂純弘 • 420次觀看
貨卡女腐屍|屍水流滿車 腐爛粘座位 消拯員移屍困難重重
熊康翰 • 420次觀看
花蓮馬太鞍溪堰塞湖溢流!光復鄉市區全淹沒 水深至少一層樓...恐怖畫面曝
呂純弘 • 330次觀看
貨卡女腐屍|女屍或是華裔 腐爛粘在座位上
熊康翰 • 1K次觀看
RON95新油價|TNG eWallet新功能 無需MyKad也能添油
熊康翰 • 970次觀看
回收阿伯路中摔車!!下秒驚見「演藝圈天王父女」出面幫忙 暖舉被萬人贊翻:「最好的身教~」
喬峰傳 • 2K次觀看
砍妻頭顱 分解屍體 藥劑師丈夫終極上訴失敗 維持死刑
熊康翰 • 3K次觀看
屍水外流 惡臭撲鼻 停路邊貨卡 驚現女腐屍
熊康翰 • 1K次觀看
沒錢買iPhone被羞辱 他亂棍打死女友再拋屍入河
熊康翰 • 500次觀看
深夜恐怖車禍! 加叻大道3車連環撞 5華青 1死4傷
熊康翰 • 600次觀看
不斷更新/樺加沙巔峰之姿掃台!9/23停班課資訊一次看
呂純弘 • 240次觀看
快訊/明天7縣市風雨「達停班課標準」!最新預測出爐!
舒黛葉 • 2K次觀看
震撼!卓榮泰宣布「普發1萬元」重大變動~
管輝若 • 4K次觀看
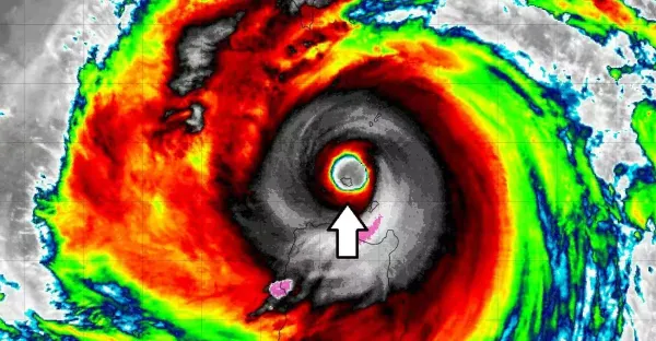
樺加沙眼牆置換進化巨型風眼 直徑70公里「等於3個香港」專家示警「5地雨最猛」
呂純弘 • 400次觀看
台中21歲女15樓墜下 身體扭曲陳屍角落 家屬尋獲遺體崩潰
劉奇奇 • 90次觀看
金星早期對「於朦朧」評價被翻出「本以為是句玩笑話」卻一語成讖, 網友:太准了
劉奇奇 • 290次觀看
  • « Previous
  • 47
  • 48
  • 49
  • 50
  • 51
  • 52
  • 53
  • 54
  • 55
  • 56
  • » Next

關於我們 | 隱私權 | 聯絡我們

©2020 | Proudly powered by WordPress